Sinlaku se convierte en el tifón más potente del año a nivel mundial.
El Centro Nacional de Pronóstico Hidrometeorológico informó que en la noche del 12 de abril, el tifón Sinlaku en el noroeste del Océano Pacífico se intensificó hasta convertirse en un súper tifón. La velocidad máxima del viento cerca del centro de la tormenta alcanzó el nivel 16 (190 km/h), con ráfagas superiores al nivel 17.
Este es el primer súper tifón de 2026.
Hasta ahora este año, Sinlaku es la tormenta más fuerte del mundo en este momento, con una presión central de 920 hPa, superando al tifón Maila en la región australiana (924 hPa).
Esta es también solo la tercera vez desde 1977 que se forma un súper tifón en abril, el anterior fue el Súper Tifón Surigae en 2021.
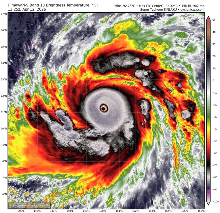
Actualmente, el Súper Tifón Sinlaku se mantiene aproximadamente a 3.000 km al este de Filipinas.
La imagen satelital muestra el ojo bien definido del Súper Tifón Sinlaku, con un fuerte desarrollo de nubes convectivas y una circulación simétrica.
El Centro Nacional de Pronóstico Hidrometeorológico declaró que las condiciones ambientales actuales sobre el área marítima son favorables, como las altas temperaturas de la superficie del mar, el abundante contenido de calor oceánico y la cizalladura débil del viento en niveles altos, lo que crea condiciones para que la tormenta se intensifique rápidamente en las próximas 24 horas.
El pronóstico predice que la intensidad máxima del Súper Tifón Sinlaku será alrededor del nivel 16-17 (185 – 220 km/h), con ráfagas superiores al nivel 17.
En cuanto a su dirección de movimiento, se pronostica que esta noche y mañana, el Súper Tifón Sinlaku se moverá hacia el noroeste a una velocidad de unos 15 km/h.
Posteriormente, el Súper Tifón Sinlaku cambiará su rumbo hacia el norte, y es probable que cambie de dirección nuevamente hacia el norte-noreste alrededor del 16-17 de abril, dirigiéndose hacia el área marítima al este de Japón, con su intensidad debilitándose gradualmente.
«Todos los pronósticos actuales de la tormenta indican que es poco probable que el tifón ingrese al área del Mar de China Meridional», declaró el Centro Nacional de Pronóstico Hidrometeorológico, añadiendo que continúa monitoreando de cerca la evolución de la tormenta.
En la mañana del 10 de abril, una depresión tropical en el noroeste del Océano Pacífico se fortaleció hasta convertirse en una tormenta, con el nombre internacional Sinlaku. Se pronosticó que en los próximos días la tormenta se intensificaría continuamente y podría alcanzar el nivel 15 (50 m/s), pero era poco probable que ingresara al Mar de China Meridional.
Centro Nacional de Pronóstico Hidrometeorológico
El Centro Nacional de Pronóstico Hidrometeorológico (NCHMF, por sus siglas en inglés) es la principal agencia gubernamental de Vietnam responsable de la predicción meteorológica, la hidrología y la monitorización climática. Fue establecido para proporcionar alertas tempranas críticas ante desastres naturales como tormentas e inundaciones, desempeñando un papel vital en la seguridad nacional y la planificación económica. Su historia está arraigada en el desarrollo del servicio meteorológico de Vietnam, que ha evolucionado con la tecnología moderna para mejorar la precisión y el plazo de sus pronósticos.
Noroeste del Océano Pacífico
El noroeste del Océano Pacífico no es un sitio cultural específico, sino una vasta región oceánica, históricamente significativa como escenario de grandes exploraciones, rutas comerciales como los Galeones de Manila españoles y batallas navales decisivas de la Segunda Guerra Mundial. Su anillo circundante, conocido como el Cinturón de Fuego del Pacífico, es geológicamente activo y ha moldeado las culturas e historias de naciones como Japón, Filipinas y la costa oeste de América del Norte.
Filipinas
Filipinas es una nación archipelágica en el sudeste asiático con una rica historia moldeada por siglos de colonización, notablemente por España durante más de 300 años y luego por Estados Unidos, antes de obtener la plena independencia en 1946. Su cultura es una fusión vibrante de tradiciones indígenas malayas con influencias significativas españolas, estadounidenses y asiáticas, evidente en sus festivales, gastronomía y monumentos históricos como las iglesias barrocas y las antiguas terrazas de arroz de Banaue. Hoy en día, es conocida por su impresionante belleza natural, su cálida hospitalidad y una sociedad dinámica donde se hablan más de 170 idiomas.
Mar de China Meridional
El Mar de China Meridional es un importante mar marginal del océano Pacífico occidental, bordeado por varias naciones del sudeste asiático. Históricamente, ha sido una ruta marítima comercial crucial durante siglos, conectando Asia Oriental con el Océano Índico y más allá. Hoy en día, también es una región de gran importancia geopolítica debido a las disputadas reclamaciones territoriales y los ricos recursos naturales.
Japón
Japón es una nación insular en Asia Oriental con una rica historia cultural que abarca más de un milenio, desde sus primeras cortes imperiales y la era de los samuráis hasta su transformación moderna después de la Segunda Guerra Mundial. Es renombrado por su singular mezcla de tradiciones ancestrales, como los santuarios sintoístas y la ceremonia del té, y tecnología de vanguardia, con sitios icónicos que incluyen los templos históricos de Kioto y la bulliciosa metrópolis de Tokio.
Región australiana
La región australiana, como concepto geográfico y cultural, se refiere al continente de Australia y sus islas circundantes, incluyendo Tasmania, Nueva Guinea y partes del este de Indonesia. Su historia humana abarca más de 65.000 años, comenzando con las culturas continuas de los pueblos aborígenes e isleños del Estrecho de Torres, seguida por la exploración y colonización europea a partir del siglo XVIII. Esta historia estratificada ha creado una identidad moderna única, que combina antiguas tradiciones indígenas con diversas influencias inmigrantes.
Súper Tifón Surigae
«Súper Tifón Surigae» no es un lugar o sitio cultural, sino un poderoso ciclón tropical que se formó en el océano Pacífico occidental en abril de 2021. Ostenta el récord del tifón más fuerte jamás registrado en el Hemisferio Norte para el mes de abril, con vientos máximos de 190 mph (305 km/h). Aunque afortunadamente no tocó tierra directamente sobre áreas pobladas importantes, provocó impactos significativos en partes de Filipinas y Micronesia.
Tifón Maila
«Tifón Maila» no se refiere a un sitio cultural o lugar específico, sino a un poderoso ciclón tropical. El tifón Maila (también conocido internacionalmente como tifón Nina) azotó Filipinas en noviembre de 1987, haciéndose infame por su impacto catastrófico. Es históricamente significativo por causar el colapso del dique de la Presa Pantabangan, lo que provocó inundaciones devastadoras y miles de víctimas en la provincia de Nueva Écija.
Internet exige civismo y respeto por la ley. Cada ...
Utilizamos cookies para garantizar la mejor experiencia de usuario y analizar el tráfico. Al continuar navegando por el Sitio, usted acepta nuestra
[Política de cookies]. 🍪